Images - woody plants identification keys
Images linked to the identification keys by Jan De Langhe on the Arboretum Wespelaar website
Images are available for non-commercial use, and with mentioning "© Jan De Langhe - Arboretum Wespelaar / Ghent University Botanical Garden".
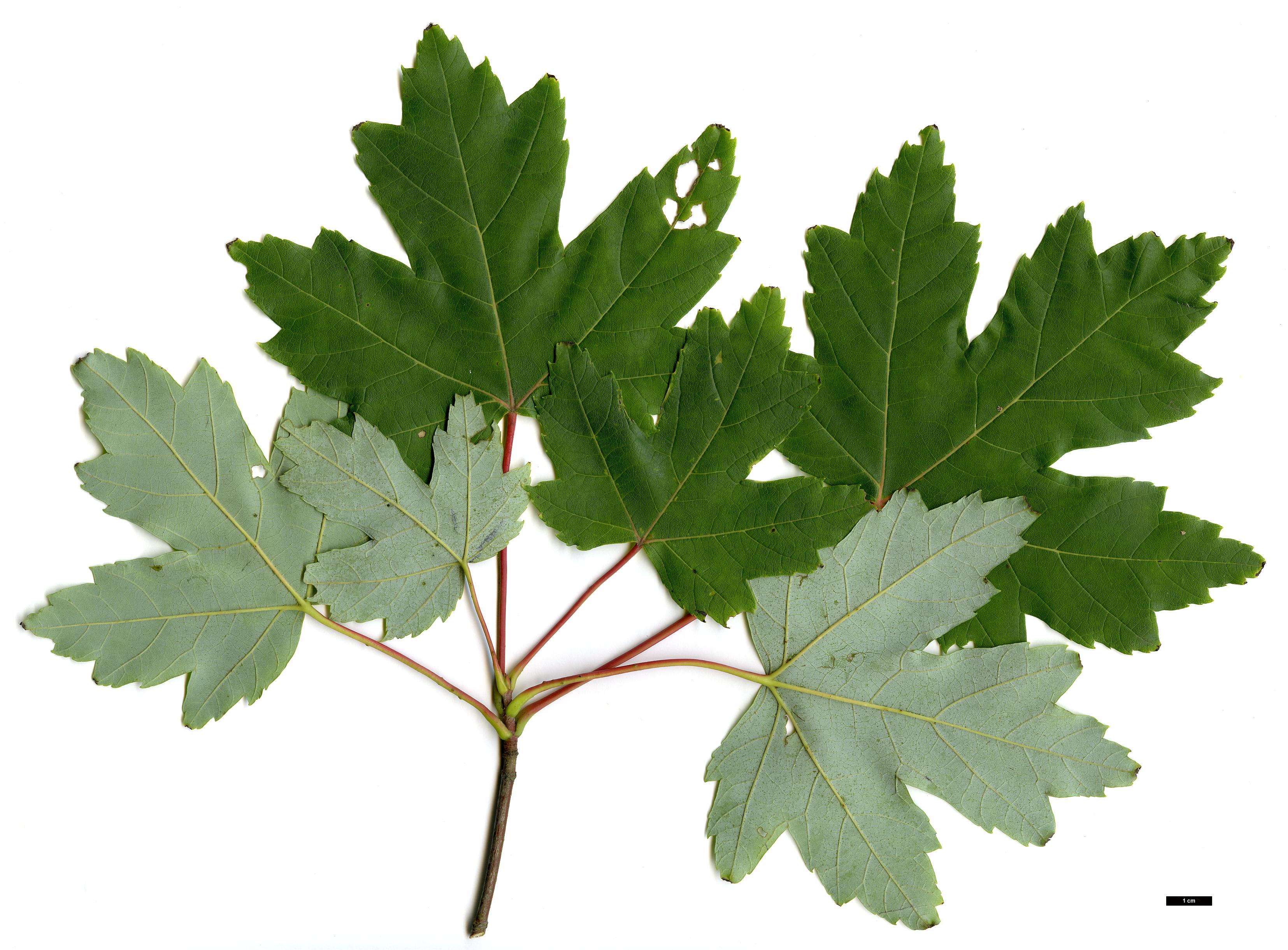
Acer ×freemanii 'Jeffersred' (A.rubrum × A.saccharinum) (Sapindaceae)
_HGAA20010001B_JDL016115_25JUL2007_01.jpg)