Images - woody plants identification keys

Images linked to the identification keys by Jan De Langhe on the Arboretum Wespelaar website

Images are available for non-commercial use, and with mentioning "© Jan De Langhe - Arboretum Wespelaar / Ghent University Botanical Garden".

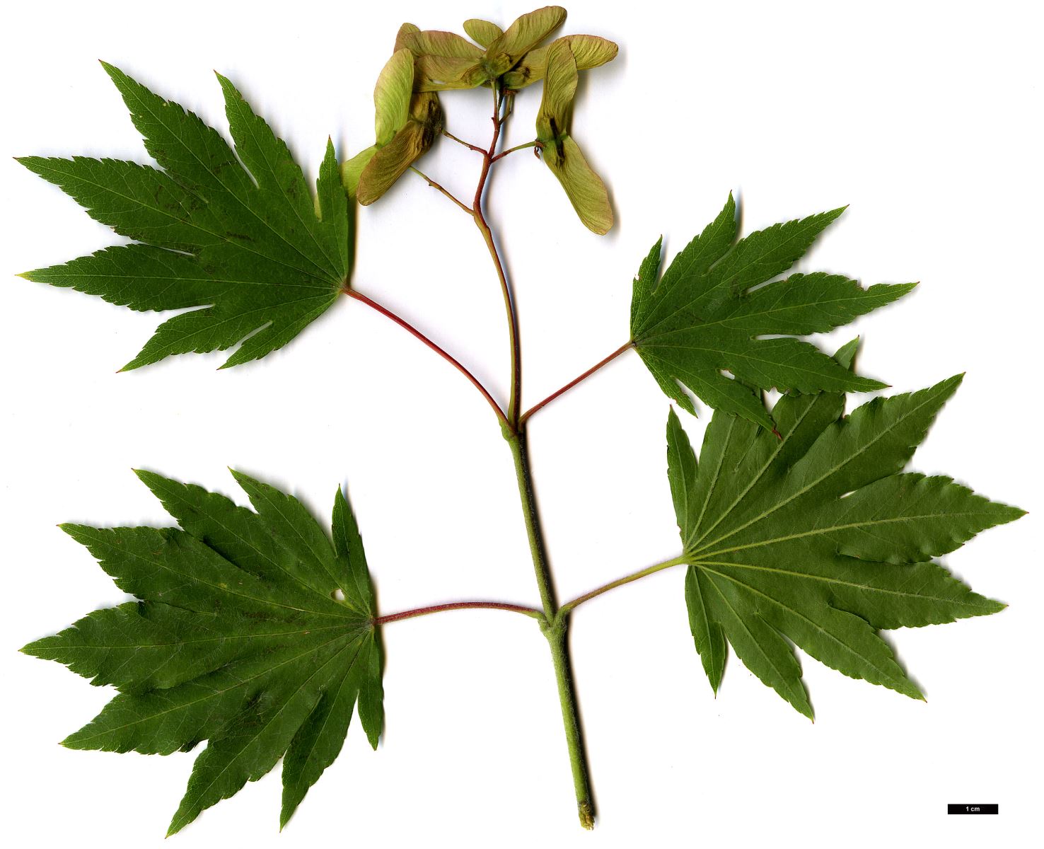
Acer tenuifolium (Sapindaceae)

High resolution image: Family: Sapindaceae - Genus: Acer - Taxon: tenuifolium
High resolution images identification keys